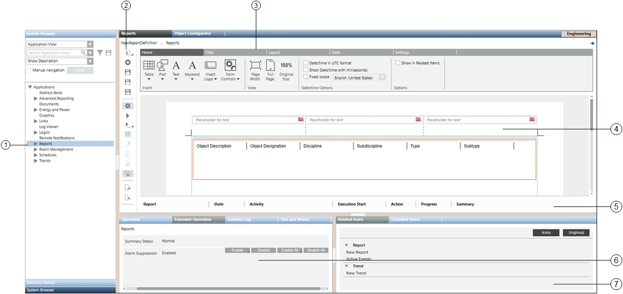
Reports Workspace |
| Name | Description |
1 | System Browser | Displays all the saved Report Definitions in Application View > Applications > Reports. |
2 | Reports Toolbar | Contains icons for performing various actions in Reports. Reports toolbar for operating procedures - Displays only when the report is executed for a selected event from Assisted Treatment. Contains icons for saving user input and routing information. |
3 | Reports Ribbon | Contains several tabs and group boxes to help you define a Report Definition. The tabs available on the ribbon are: Home, Filter, Layout, Data, and Settings. NOTE: The Reports ribbon is only visible when you create a new Report Definition or select an existing one. |
4 | Report Definition | Displays the following: Edit mode: Workspace where you configure a Report Definition in Edit mode. Run mode: Workspace where you view an executed report in Run mode. |
5 | Report Management Section | Displays a report snapshot and documents for the executed reports. NOTE: This section does not display when the report is executed for a selected event from Assisted Treatment. |
6 | Extended Operation Tab | Displays the properties of the selected Report Definition. The Execute button allows you to run a Report Definition. NOTE: You must configure a Report Output Definition for the selected Report Definition. |
7 | Related Items Tab | Displays the following: New Report: Opens a new Report Definition for configuration. Related Report: Displays the names of the reports related to the selected System Browser object. Show-in-Related Items Report: Displays the name of the reports that has the Show In Related Items check box selected. |